ベンツCクラスのお客様の車検の費用、整備内容
ディーラさん、他社さんと相見積もり比較いただきまして、金額差をご検討いただき、当社へ入庫いただきました。
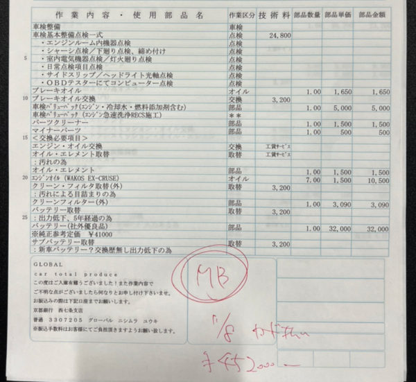
ディーラーでお見積もり後、当社に来店いただく方の大半が、部品代に対して、技術料の安さを見て驚かれます。
これこそがベンツ専門に車検受け付けている専門工場の強みです。

| 車名 | ベンツCクラス C200スポーツ |
|---|---|
| 型式 | RBA-205242 |
| 初年度(初度) | H29.3 |
ディーラさん、他社さんと相見積もり比較いただきまして、金額差をご検討いただき、当社へ入庫いただきました。
ディーラーでお見積もり後、当社に来店いただく方の大半が、部品代に対して、技術料の安さを見て驚かれます。
これこそがベンツ専門に車検受け付けている専門工場の強みです。

| 車名 | ベンツCクラス C200スポーツ |
|---|---|
| 型式 | RBA-205242 |
| 初年度(初度) | H29.3 |
| 日 | 月 | 火 | 水 | 木 | 金 | 土 |
|---|---|---|---|---|---|---|
| « 11月 | ||||||
| 1 | 2 | 3 | ||||
| 4 | 5 | 6 | 7 | 8 | 9 | 10 |
| 11 | 12 | 13 | 14 | 15 | 16 | 17 |
| 18 | 19 | 20 | 21 | 22 | 23 | 24 |
| 25 | 26 | 27 | 28 | 29 | 30 | 31 |

〒612-8495
京都府京都市伏⾒区久我森の宮町15-10
平⽇9:00〜20:00
第二、第四土曜日・日曜日、祝日

